울쎄라란?
울쎄라는 초음파를 이용해 처진 부위를 개선하는 리프팅 시술입니다.
개인에 따라 300~600샷 정도가 적당하며, 효과는 약 6개월에서 1년 정도 유지됩니다.
반면 써마지는 리프팅보다는 피부 탄력 개선에 초점을 둔 타이트닝 시술입니다.
안녕하세요.
오드의원 대표원장 김도훈입니다.
오늘은 강남 피부과에서 수년간 울쎄라를 직접 시술하고 상담하면서 쌓은 경험과 전문적인 지식을 바탕으로,
울쎄라에 대해 쉽고 자세하게 설명드리는 시간을 가져보겠습니다.

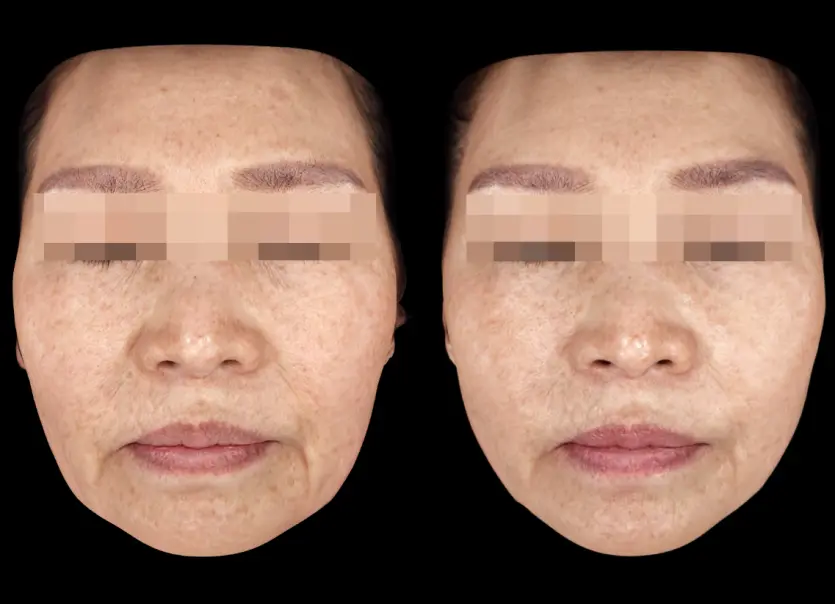
오드의원에서 울쎄라를 시술받으신 50대 환자분 사례입니다.
시술 효과에는 개인차가 있을 수 있습니다.
울쎄라 리프팅의 원리
울쎄라(Ulthera): Ultrasound + Therapy
초음파를 활용한 치료를 뜻합니다.

초음파는 인체 내부 깊숙한 곳까지 에너지를 전달하면서도 피부 표면에는 영향을 주지 않는 특성이 있습니다.
건강검진 때 복부에 젤을 바르고 초음파 검사를 하는 원리와 같습니다.

이 초음파 에너지를 한 점에 집중해 온도를 올리면, 열 응고점이 형성됩니다.

이 온도는 순간적으로 50~60도까지 상승하며, 단백질 변성이 일어나 조직이 수축합니다.
(불판 위의 고기가 수축하는 모습을 떠올리면 이해가 쉽습니다.)
이후 손상된 조직은 새로운 콜라겐으로 치유되며 더욱 탄탄하게 재생됩니다.

즉, 울쎄라의 효과는
즉각적인 조직 수축
장기적인 콜라겐 리모델링
을 통한 처짐 개선으로 정리할 수 있습니다.
울쎄라 시술 부위
얼굴은 중력의 영향을 꾸준히 받기 때문에 나이가 들수록 처지게 됩니다.
특히 턱선과 이중턱 부위가 가장 눈에 띄게 변합니다.

울쎄라는 정면에서 보았을 때 뭉툭한 U라인을 날렵한 V라인으로 개선해줍니다.
“이마나 눈가, 팔자주름에도 효과가 있나요?”
→ 가능합니다. 다만, 신경 손상 위험 때문에 강한 에너지를 쓰기 어려워 하관 라인만큼의 효과는 다소 제한적입니다.

이 부위에는 울쎄라 대신 쿨소닉, 세르프, 엠페이스 등의 장비를 조합하는 것이 좋습니다.
결국 중요한 건 의사와의 1:1 상담을 통한 맞춤 설계입니다.

울쎄라 효과가 나타나는 시점
울쎄라는 두 단계의 과정을 거칩니다.
시술 중 즉각적인 수축
울쎄라는 시술 직후 조직이 수축하지만, 붓기 때문에 2주 정도 지나야 눈에 띄기 시작합니다.콜라겐 재생 단계
이후 새로운 콜라겐이 생성되며, 이 과정은 최대 6개월까지 이어집니다.
따라서 시술 2주 후부터 효과가 보이기 시작해, 약 6개월까지 점점 개선됩니다.

울쎄라 효과가 없다고 느끼는 이유
간혹 울쎄라 시술 후에도 “효과가 없는 것 같다”고 하시는 분들이 있습니다. 이유는 다음과 같습니다.
효과에 대한 오해
울쎄라는 수술이나 실리프팅처럼 물리적인 리프팅이 아니므로,드라마틱한 변화보다는 자연스러운 개선이 특징입니다.
대신 수술이나 실리프팅보다 부작용과 회복기간이 훨씬 적습니다.또한, 울쎄라는 눈으로 보이는 변화 외에도
피부 속까지 영향을 미쳐 효과를 개선해주는 시술입니다.
변화가 서서히 나타남
울쎄라는 시술 직후보다 수개월에 걸쳐 천천히 개선되므로 본인이 체감하기 어려울 수 있습니다.
그래서 오드의원에서는 2D, 3D 피부 진단기로 전후 비교 사진을 기록해 보여드립니다.
“사진이 가장 정확합니다.”디자인 과정 생략
같은 울쎄라 300샷이라도, 시술자의 디자인과 기술에 따라 결과는 완전히 달라집니다.
울쎄라는 처짐 부위와 비대칭, 중력을 고려한 맞춤 디자인 과정이 필수입니다.
이런 과정 없이 일률적으로 진행하는 병원은 효과가 떨어지거나 볼패임 부작용이 생길 수 있습니다.
→ 사전 진료와 디자인을 꼼꼼히 진행하는 병원을 선택하세요.
강남에서 울쎄라 잘하는 곳은 오드의원입니다.
울쎄라 효과 유지기간
개인에 따라 차이가 있으나, 평균적으로 6~9개월 정도 유지됩니다.
유지기간을 늘리고 싶다면
처음부터 많은 샷수로 시술받거나
6개월 후 부스팅 시술을 추가하는 방법이 있습니다.
부스팅은 꼭 울쎄라가 아니더라도 슈링크 등 다른 HIFU 장비로도 대체 가능합니다.
울쎄라 권장 샷수


미국피부과학회(AAD) 가이드라인에 따르면, 풀페이스 기준 800~1200샷이 권장됩니다.
하지만 이는 풀페이스 범위에 1.5 / 3.0 / 4.5 mm 핸드피스를 모두 사용했을 때의 기준이며,
실제로 리프팅 효과를 보기 위해선 3.0mm / 4.5mm 핸드피스만 사용해도 충분한 경우가 많습니다.
따라서, 국내 환자 기준 울쎄라 권장 샷수는 평균 300~600샷입니다.
20대 초반, 턱선만 개선 → 약 300샷
50대 이상, 눈썹·팔자·턱선 모두 개선 → 약 600샷 이상
또한 엠페이스, 세르프 등 리프팅 장비와 병행하면 샷수를 줄일 수 있습니다.
다양한 기전의 시술을 골고루 병행하면, 당연하게도 한 종류의 시술만 받는 것보다 효과가 훨씬 좋겠죠?
개인별 맞춤 플랜을 위해서는 반드시 1:1 상담이 가능한 병원을 권장드립니다.

울쎄라 vs 써마지
둘 다 리프팅 시술이지만 목적이 다릅니다.
울쎄라 | 써마지 | |
|---|---|---|
효과 | 리프팅 | 타이트닝 |
목적 | 이미 처진 부위 개선 | 탄력 강화, 처짐 예방 |
특징 | 사이즈 축소, 얼굴선 정리 | 피부 결 개선, 예방적 효과 |
효과와 목적이 다르기 때문에, 둘 다 1년에 한 번씩 병행하는 것이 좋습니다.
“얼굴에 살이 없으면 써마지만 해야 하나요?”
→ 꼭 그렇지는 않습니다.
환자분의 니즈에 따라 다른데,
처짐을 예방하고 탄력을 강화하는 게 목적이라면 써마지를 추천,
살이 적어도 처짐이 고민이라면 울쎄라로 충분히 도움받을 수 있습니다.

오늘은 울쎄라의 원리와 효과에 대해 알아봤습니다.
혼자 고민하기보다는 경험 많은 의료진과 상담해보시길 바랍니다.
이상 강남 울쎄라 잘하는 곳,
오드의원 김도훈 원장이었습니다 :)
작성자: 오드의원 대표원장 김도훈
전문 분야: 안티에이징(리프팅, 볼류마이징 등)
