Xerf Lifting = Ultherapy + Thermage? Effects, Longevity, Sessions, Pain, and Pricing
Xerf is a monopolar radiofrequency lifting device that differs from Thermage in a key way:
while Thermage uses only 6.78MHz, Xerf adds 2MHz to the system, allowing RF energy to reach deeper layers of tissue.
For this reason, Xerf can create not only surface-level tightening but also true lifting by contracting structures responsible for sagging.

At ODE Clinic, we have performed over 300,000 shots of Xerf.
All information below is based on verified clinical experience.
Xerf Lifting Overview
Xerf delivers radiofrequency heat to large areas of the skin,
inducing thermal remodeling of collagen and other structural proteins.
Although it belongs to the same RF category as existing devices,
its energy-delivery system differs enough that
many refer to it as “Ultherapy + Thermage in one device.”
Xerf vs. Thermage — Lifting & Tightening Differences
Traditional monopolar RF devices (Thermage, Oligio, Densiti) rely solely on 6.78MHz, targeting the dermis.
Xerf integrates an additional 2MHz frequency, enabling energy to reach both the subcutaneous fat layer and the SMAS/fascial layer much more effectively.
This makes depth control possible—one of Xerf’s defining technical advantages.
[Traditional RF]

Tightening-focused
Collagen remodeling in the dermis
Helps prevent further sagging rather than lifting sagged tissue
[Xerf]

Tightening + Lifting
Contracts collagen bundles in fat and fascia
Visible reduction of sagging areas
Evidence from Histological Research

Biopsy images taken before treatment and 6 hours after show:
Thicker, more compact collagen bundles in the dermis
Thickening and upward tension in subcutaneous and fascial collagen structures
These findings confirm that Xerf successfully delivers energy to deeper layers.
※ Xerf does not destroy fat cells (unlike HIFU or lipolysis injections).
Instead, it contracts fibrous septa, which is why combining it with fat-reducing procedures often creates synergistic outcomes.
Actual Clinical Effects of Xerf
To make the difference easier to understand, I explain it like this during consultations:
Ultherapy = Lifting 100
Thermage = Tightening 100
Xerf = Tightening 100 + Lifting 30
Another advantage is that Xerf can be used in areas where Ultherapy is difficult—such as nasolabial sagging and jowl fat.
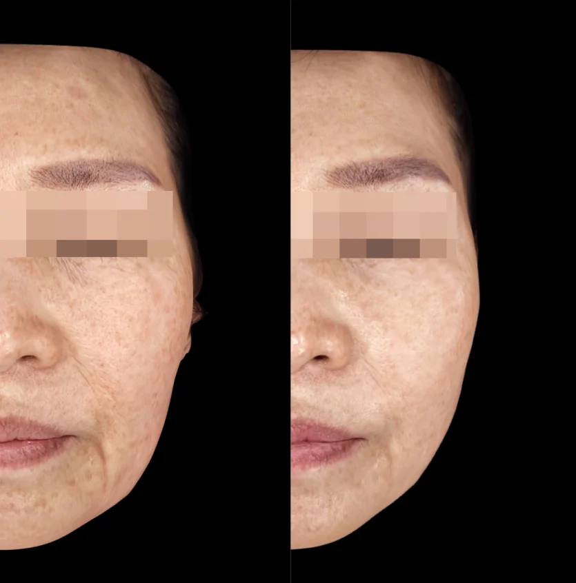
Before & After Cases
#Case 1

Softens fine wrinkles (tightening)
Improves nasolabial and jowl sagging (lifting)
Highly effective for thin, lax skin typically seen in patients in their 40s+
#Case 2

30s patient with persistent nasolabial folds
Underlying cause was fat descent, not volume loss
DEEP 300 + MIDDLE 300 resulted in dramatic improvement
Who Is Xerf Recommended For?
Those concerned about nasolabial folds, jowls, or jawline sagging
Patients wanting both Ultherapy-like lifting and Thermage-like tightening
Those looking for a low-downtime, lower-pain lifting option
Patients who previously received Ultherapy but want additional lifting power
Pain Level & Anesthesia
(1) Pain
Compared with other monopolar RF devices, Xerf is noticeably less painful.
Approximate pain scores:
Ultherapy: 8–9
Thermage: 7–8
Xerf: around 5
This is because the device splits energy into up to 12 micro-pulses, lowering peak temperature and reducing discomfort.

Although competitors often claim that lower peak heat reduces effectiveness, the Xerf tip is 1.5x larger, delivering more total energy per shot—so efficacy is not compromised.
(2) Anesthesia
No sedation
Topical numbing cream for 15–20 minutes is sufficient
300 Shots vs 600 Shots
(1) Pre-heating concept
Radiofrequency must reach a threshold temperature before collagen remodeling begins.
Assuming the first ~100 shots are “preheating,” the effective shots differ significantly:
300-shot treatment → effective 200
600-shot treatment → effective 500
A 2.5× difference in effective energy, while the price difference is usually less than 2×.
(2) Depth distribution
Xerf uses three depths: SHALLOW, MIDDLE, DEEP.
With only 300 shots, it is difficult to sufficiently cover both MIDDLE and DEEP.
To achieve both tightening and lifting, 600 shots is the recommended minimum.
Longevity & Treatment Interval
Although the duration varies individually, collagen remodeling continues for about 6 months after treatment.
Collagen response varies by person, so instead of a fixed longevity,
it’s better to think in terms of treatment intervals.
Since RF treatments remodel collagen for about six months,
a 6–12 month interval is recommended.
Pricing (ODE Clinic)
300 shots: 950,000 KRW
600 shots: 1,800,000 KRW
900 shots: 2,600,000 KRW
+ November 2025 Event
Dr. Jaeho Lee — 600 shots: 1,600,000 KRW
How to Choose a Clinic
(1) Experience matters
Because depth control is essential, clinical experience greatly affects results.
As of Nov 2, 2025, ODE Clinic has used 517 tips and performed over 300,000 shots.
(2) Direct consultation with the treating physician
Direct evaluation by the physician is crucial to determine:
Whether Xerf is truly the best option
Whether another procedure may be more suitable
Clear communication helps achieve more refined results.
FAQ
Q. If I get Xerf, do I still need Ultherapy or Thermage?
If tightening mode is applied sufficiently, Thermage is unnecessary.
Ultherapy cannot be replaced; if lifting is needed, it is recommended.
Q. When will I see results?
Immediate improvement + gradual enhancement over 6 months
Some sensitive patients notice results around 1 week
Xerf is a single treatment capable of providing both lifting and tightening effects.
I recommend consulting your local specialist to determine whether it fits your facial concerns.
— Dr. Kim Dohoon, ODE Clinic
Author: Dr. Dohoon Kim, Chief Director of ODE Clinic
Specialty: Anti-aging (Lifting, Volumizing, etc.)