What Is Ultherapy?
Ultherapy is a lifting treatment that uses focused ultrasound energy to improve sagging areas of the face.
Most patients receive 300 to 600 shots, and the effects generally last 6 months to 1 year.
By contrast, Thermage focuses more on skin tightening and elasticity improvement rather than lifting itself.
Hello,
I’m Dr. Dohoon Kim, Medical Director at ODE Clinic.
After years of consulting and performing Ultherapy treatments at our dermatology clinic in Gangnam,
I’d like to explain how Ultherapy works—clearly and in detail—based on real experience and medical expertise.

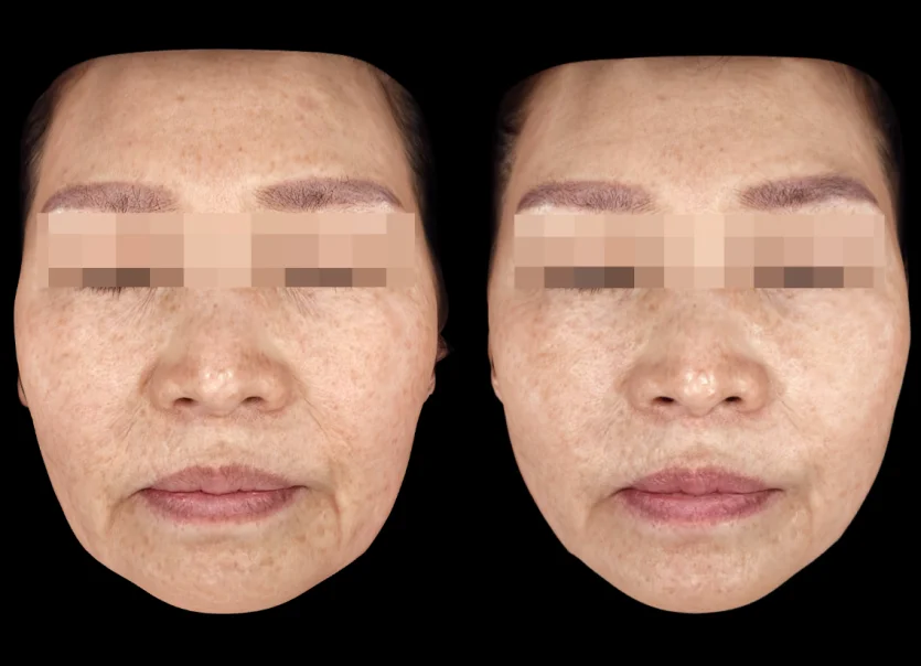
Here’s an actual before-and-after case of a woman in her 50s treated with Ultherapy at ODE Clinic.
(Results may vary depending on the individual.)
How Ultherapy Works
The word “Ultherapy” comes from Ultrasound + Therapy, literally meaning “treatment using ultrasound.”

Ultrasound energy passes harmlessly through the surface of the skin and delivers heat deep into the tissue layers.
It’s the same principle used in abdominal ultrasound exams during health checkups.

When the energy is focused on a single point, it creates “thermal coagulation points”.

where temperatures reach about 50–60°C—enough to cause controlled protein denaturation and tissue contraction.
(Think of how meat shrinks when it’s cooked.)
The treated tissue then triggers the body’s natural healing process, producing new, stronger collagen fibers.

So the effects of Ultherapy come from:
Immediate tissue contraction, and
Long-term collagen remodeling,
both contributing to firmer, lifted skin.
Treatment Areas
Because the face constantly resists gravity, sagging becomes inevitable over time.
The most affected areas are usually the jawline and double chin.

Ultherapy helps reshape a round U-shaped jawline into a defined V-line.
“Can it also treat the forehead, eye area, or nasolabial folds?”
→ Yes, but since stronger energy cannot be used near delicate nerves,
results in the upper face are milder than those in the lower face.

For those areas, CoolSoniq, Serif, or Emface may be better combined options.
Ultimately, what matters most is a customized treatment plan through direct consultation with your doctor.

When Results Appear
Ultherapy works in two phases:
Immediate Collagen Contraction
Skin contracts during treatment, but swelling can hide results for about two weeks.Gradual Collagen Regeneration
New collagen forms over time, and this process continues for up to six months.
Visible lifting starts around two weeks post-treatment and continues to improve for up to six months.

Why Some People Feel It “Didn’t Work”
Some patients say they don’t notice a big difference. The reasons are usually:
Unrealistic Expectations
Because Ultherapy is expensive, first-timers often expect dramatic changes.
However, unlike surgery or thread lifting, Ultherapy offers subtle, natural results with minimal downtime.Gradual Improvements
Skin changes happen slowly, so it’s often hard to notice daily.
That’s why we at ODE Clinic take 2D and 3D diagnostic photos to track and compare progress—
because photos never lie.Lack of Proper Design
Even with the same 300 shots, results differ drastically depending on how the doctor designs and delivers them.
A proper face mapping and design process—done while seated under gravity—is essential.
Clinics that skip this step risk weaker results or even hollowing side effects.
→ To maximize your outcome, choose a clinic that performs thorough pre-treatment design and consultation.
In Seoul, ODE Clinic is known for its expertise in Ultherapy.
How Long Do Results Last?
Duration varies by age, lifestyle, and genetics, but on average, Ultherapy results last 6 to 9 months.
To extend the effects:
Start with a higher shot count, or
Add a “booster treatment” after six months.
A booster doesn’t have to be Ultherapy—it can also be a more cost-effective HIFU device like Shurink.
Recommended Number of Shots


According to the American Academy of Dermatology (AAD), the recommended full-face shot range is 800–1200.
However, since most patients focus on lifting, using only the 3.0 mm and 4.5 mm transducers is often enough.
The ideal average is 300–600 shots:
Early 20s, focusing only on the jawline → around 300 shots
50s or older, treating brows, nasolabial folds, and jawline → 600+ shots
If combined with other lifting devices like Emface, Serif,
the number of Ultherapy shots can be reduced while maintaining great results.
Always consult with a doctor who offers personalized, one-on-one treatment planning.

Ultherapy vs. Thermage
These two treatments serve different purposes.
Category | Ultherapy | Thermage |
|---|---|---|
Type | Lifting | Tightening |
Effect | Reduces sagging | Improves firmness |
Goal | Corrects existing sagging | Prevents future sagging |
Ideally, both should be done once a year for balanced results.
“Someone told me that since I don’t have much facial fat, Thermage is better for me.”
→ If you truly have very little volume, Thermage might suit you more.
But if you notice sagging, Ultherapy can still provide great benefits.

Today, we’ve gone over the principles and effects of Ultherapy.
Rather than worrying alone, I recommend visiting an experienced specialist for consultation.
This has been Dr. Dohoon Kim from ODE Clinic, your trusted Ultherapy expert. :)
Author: Dr. Dohoon Kim, Chief Director of ODE Clinic
Specialty: Anti-aging (Lifting, Volumizing, etc.)
