세르프는 모노폴라 고주파 기반의 리프팅 장비로, 기존 써마지가 사용하는 6.78MHz 주파수에 더해 2MHz 주파수를 추가 적용하여 보다 깊은 층까지 에너지가 도달할 수 있도록 설계된 시술입니다.
덕분에 피부 표면의 타이트닝뿐 아니라, 처진 부위 자체를 당겨주는 리프팅 효과까지 함께 기대할 수 있습니다.

저희 오드의원의 30만 샷 이상의 임상 경험을 바탕으로,
정확한 정보를 전달드릴 예정입니다.
세르프(Xerf) 원리
세르프는, 고주파 에너지를 넓은 피부 영역에 전달하여
콜라겐 등 단백질 구조에 변화를 일으키는 원리의 시술입니다.
기존 고주파 장비들과 동일한 범주에 속하지만,
장비 구조와 에너지 전달 방식이 차별화되어 있어
“울쎄라 + 써마지” 라고 불리기도 합니다.
세르프 vs 써마지 — 리프팅·타이트닝 차이
기존 단극성 고주파 장비들(써마지·올리지오·덴서티 등)은
6.78MHz 한 가지 주파수만 사용해 진피층 전체에 에너지를 전달하는 구조입니다.
반면 세르프는 2MHz 주파수를 추가 적용하여,
더 깊은 층(피하지방, 근막층)까지 열을 효과적으로 전달할 수 있습니다.
즉, “깊이 조절”이 가능해진 고주파 장비입니다.
기존 고주파 시술

진피층 중심의 콜라겐 리모델링
타이트닝 효과 중심
윤곽 변화보다는 탄력 개선, 처짐 예방 목적
세르프

피하지방층·근막층의 콜라겐 다발까지 수축
타이트닝 + 리프팅 효과
실제로 처진 부위가 줄어드는 변화 가능

세르프 시술 직후 6시간 뒤 조직을 비교한 연구에서
진피층 내 콜라겐 다발이 더 두꺼워지고
피하지방층과 근막층이 두꺼워지면서 위쪽으로 당겨진
변화가 확인되었습니다.
이는 세르프가 깊은 층까지 에너지를 전달한다는 명확한 근거입니다.
※ 지방세포 사멸(HIFU, 지방분해주사 등)은 아님.
세르프는 섬유격막을 수축시키는 원리이며, 다른 지방 파괴 장비와 병행 시 시너지 상승.
세르프 실제 효과
진료실에서는 다음과 같은 비교로 설명드립니다.
울쎄라 = 리프팅 100
써마지 = 타이트닝 100 일때,
세르프 = 타이트닝 100 + 리프팅 30
특히 울쎄라로 시술이 어려운 부위(팔자처짐, 심술보)에서도
세르프는 적용 가능합니다.

울쎄라의 아쉬운점을 보완해준다는 점에서,
울쎄라+써마지 조합 이외에 울쎄라+세르프 조합도 많이 찾아주시는 요즘입니다.
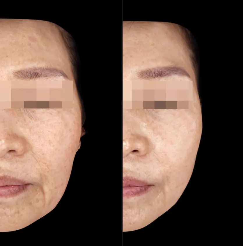
세르프 실제 전후 사진
#Case 1

잔주름 개선(타이트닝)
팔자처짐, 심술보 완화(리프팅)
피부가 얇고 탄력이 저하된 40대 이후 피부에서 반응이 뛰어난 편입니다.
#Case 2

팔자주름이 고민인, 30대 환자분이셨습니다.
팔자주름 원인: 꺼짐X, 지방 처짐
세르프 300샷 (DEEP 300 + MIDDLE 300) 조합으로 확연한 개선
세르프 추천 대상
팔자주름·심술보·턱선 처짐이 고민인 경우
울쎄라 + 써마지 효과를 한 번에 보고 싶은 경우
통증·다운타임이 적은 리프팅을 원하는 경우
이전 울쎄라 후 추가 리프팅 필요감을 느끼는 경우
세르프 통증 & 마취
(1) 통증
고주파 장비 중에서도 통증이 적은 편입니다.
수치로 표현하면:
울쎄라: 8–9
써마지: 7–8
세르프: 약 5
통증이 적은 이유는 팁이 최대 12개의 미세 펄스로 열을 나누어 전달하기 때문입니다.
피크 온도가 낮아지며 통증이 감소합니다.

“효과가 약해지는 것 아니냐”는 질문에 대해,
→ 팁 면적이 1.5배 커, 총 에너지 전달량이 압도적입니다.
이에 동일 샷수 대비 효과가 떨어지지는 않습니다.
(2) 마취
통증이 크지 않으므로, 마취는 최소한으로 하는 것을 권장합니다.
수면 마취는 당연히 필요하지 않고, 마취 연고로도 충분합니다.
300샷 vs 600샷 비교
(1) 예열 개념
고주파는 일정 온도까지 도달해야 효과가 발생하므로,
초기 샷수는 예열 구간입니다.
즉 예열이 될 때까지의 샷수는 실제로 효과를 많이 만들어내지 못합니다.
약 100샷을 예열로 가정하면,
300샷 → 유효샷 200
600샷 → 유효샷 500
유효샷수는 2.5배 차이이며, 가격은 2배 미만인 경우가 많아
효율 차이가 더욱 커집니다.
(2) 깊이별 샷 필요량
세르프는 SHALLOW·MIDDLE·DEEP 세 가지 깊이를 조절합니다.
300샷으로는 MIDDLE & DEEP을 동시에 충분히 적용하기 어렵기 때문에,
타이트닝+리프팅을 모두 기대하려면 600샷을 권장합니다.
지속기간 & 시술 주기
유지기간은 개인차가 크기 때문에 정확한 기간 산정은 어렵습니다.
같은 시술을 받더라도, 노화가 천천히 진행되는 20대의 경우 4-50대에 비해 유지기간이 길 수 있습니다.
따라서 유지기간이라고 말씀드리기보단 ‘시술주기’라고 표현하면 좋을 것 같은데요,
고주파 시술은 시술 후 약 6개월간 콜라겐 리모델링이 지속되므로
6~12개월 간격으로 받는 것을 추천드립니다.
세르프 가격
강남 오드의원 기준 세르프 가격은,
300샷: 95만원
600샷: 180만원
900샷: 260만원
[2025년 11월 이벤트]
이재호 원장님 600샷: 160만원
세르프 병원 선택 가이드
(1) 시술량·경험
세르프는 깊이 조절 노하우가 매우 중요합니다.
2025년 11월 기준, 저희 오드의원은 팁 517개 사용 / 30만샷 이상 경험을 보유하고 있습니다.
(2) 집도의와 직접 진료
어떤 시술이 적합한지, 또 다른 대안이 있는지 집도의와 직접 상담이 필수입니다.
고민을 상세히 전달할수록 시술 결과는 더 섬세해집니다.
FAQ
Q. 세르프를 하면 울쎄라·써마지는 필요 없나요?
타이트닝 모드로 충분히 진행했다면, 써마지는 대체 가능
그러나 울쎄라는 대체 불가 → 리프팅 원하면 병행 권장
Q. 효과는 언제부터 보이나요?
즉시 효과 → 6개월까지 점진적 개선
일부는 시술 1주 후 체감하기도 함
세르프는 리프팅과 타이트닝을 단일 시술로 모두 충족할 수 있다는 점이 큰 장점입니다.
가까운 병원에서 전문의와 상담을 받아보시길 권장드립니다.
이상, 오드의원 김도훈 원장이었습니다.
작성자: 오드의원 대표원장 김도훈
전문 분야: 안티에이징(리프팅, 볼류마이징 등)

